Huracán Melissa: Devastación Inminente en Jamaica y el Caribe

Noticias más leídas

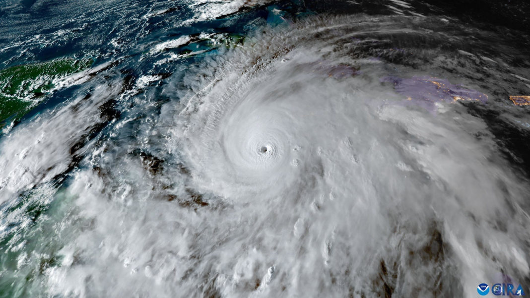
El poderoso huracán Melissa se encuentra a tan solo 215 kilómetros al sureste de Kingston, la capital de Jamaica, con vientos máximos sostenidos de 280 kilómetros por hora. Según el último informe del Centro Nacional de Huracanes (NHC) de Estados Unidos, Melissa se mantiene como un huracán mayor de categoría 5 en la escala Saffir-Simpson, con rachas aún más intensas que representan una amenaza mortal para la población.

La trayectoria prevista indica que el centro de Melissa impactará directamente sobre Jamaica hoy, con vientos catastróficos y que amenazan la vida, inundaciones y marejada. Posteriormente, se desplazará por el sureste de Cuba el miércoles por la mañana y continuará hacia el sur y centro de Bahamas durante la jornada del miércoles.

Impacto Devastador en Jamaica

Según los expertos, el huracán Melissa ya está dejando sentir su impacto en Jamaica. El Aeropuerto Internacional Norman Manley, en Kingston, ha registrado vientos sostenidos de 65 km/h y rachas de 83 km/h. Además, las precipitaciones torrenciales ocasionadas por el huracán podrían provocar inundaciones repentinas «potencialmente catastróficas» y deslizamientos de tierra a gran escala.

Un pescador de la playa de Port Henderson, Jamaica, se ha apresurado a cubrir sus barcos ante la inminente llegada del huracán. Mientras tanto, un hombre en la playa de Hellshire, Jamaica, carga una lona para intentar proteger su hogar de los vientos devastadores.

Amenaza para Cuba y Bahamas

Según las previsiones, se espera que condiciones de tormenta tropical comiencen en el este de Cuba hoy, hasta que las condiciones de huracán se establezcan en la mañana del miércoles. Asimismo, se prevén condiciones de tormenta tropical en Haití durante la jornada de hoy y del miércoles, y condiciones de huracán en el sureste y centro de Bahamas para mañana.

Los expertos del NHC insisten en que el ciclón tocará tierra con fuerza devastadora, capaz de causar daños estructurales totales en zonas expuestas y elevadas. Las autoridades de la región han emitido alertas y recomendaciones a la población para que se preparen y tomen las medidas de seguridad necesarias ante la inminente llegada de este huracán de categoría 5.

Preparación y Seguridad Crucial

Ante la amenaza de Melissa, los residentes de Jamaica, Cuba, Haití y Bahamas deben seguir atentamente las indicaciones de las autoridades y tomar todas las precauciones necesarias para proteger sus vidas y propiedades. La evacuación de las zonas más expuestas y la búsqueda de refugios seguros serán fundamentales para minimizar las consecuencias de este devastador huracán.

La comunidad internacional se mantiene en alerta y lista para brindar asistencia humanitaria a los países afectados una vez que Melissa haya pasado. La prioridad ahora es salvar vidas y mitigar los daños que este poderoso ciclón pueda causar en la región del Caribe.

Mas Noticias

DEJA UNA RESPUESTA

Por favor ingrese su comentario!
Por favor ingrese su nombre aquí

Últimas Noticias